Entomology
Mosquitoes
Culicidae, Diptera
Darkling beetles
Tenebrionidae, Coleoptera


Murúa AF, Díaz-Nieto LM, & Florencia, C. 2018
Arañas, Alacranes y Mosquitos de Importancia Sanitaria en San Juan: Explorando caminos de encuentro con la naturaleza [Spiders, Scorpions and Mosquitoes of Health Importance in San Juan: Exploring paths of encounter with nature].
San Juan: Universidad Nacional de San Juan; 113 pp.
This book was born in the nineties, when a group of biologists arrived at an all-day school in Chucuma, within the framework of a project on Native Forests of San Juan. The School teacher asked us: “How good it would be if you gave us information about the bugs that are here”; and between kissing bugs flying around and drinking maté, the idea arose there.
Then the fatal accidents in 2005 with spiders, the serious cases with large wounds also with spiders in San Juan, people who died due to the transmission of diseases by mosquitoes, in 2011, and the cases of scorpion bites meant that we could not delay the publication any longer.
In the main part of the book, characteristics of species of health importance are described, with photos, pictographic keys, with drawings so that teachers can work with children and easily recognize the species.
The last part that is added to this book is something that we visualize as a planetary need. Now a lot is known about the environment, but the knowledge we have about the environment is not comparable with the care for the environment and nature has been losing the battle. The environment is really in danger, from that point of view this last part of the book is designed. The concept of biophilia was created by a psychologist in the 1980s and then taken up by a biologist and given a new life, and a lot of work is being done on it today. The other concept is connectivity with nature, which arises within the framework of environmental psychology, being connected with nature, with a type of soft skills, which unfortunately are often not worked on in our disciplines.
The idea is that the book offers the possibility of not only identifying species, this being the core and most descriptive part, but also of approaching nature from another point of view.
Image: Daniel Feliciano
Mediterranean fruit flies
Tephritidae, Diptera
Flesh flies
Sarcophagidae, Diptera
Image: Violetea A Silvestro
Image: Udo Schmidt
Image: Udo Schmidt
Image: Adam Kranz
Image: Benjamin Kalytta
Clown beetles
Histeridae, Coleoptera
Carrion beetles
Silphidae, Coleoptera
Rove beetles
Staphylinidae, Coleoptera
Image: Bärbel Stock
Image: Hectonichus
Telephone-pole beetle
Micromalthidae, Coleoptera
Parasitoid wasps
Aphelinidae, Braconidae, Diapriidae, Eupelmidae, Scelionidae, Hymenoptera
Bumble bees
Apidae, Hymenoptera
Ants
Formicidae, Hymenoptera
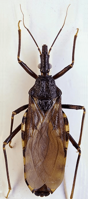
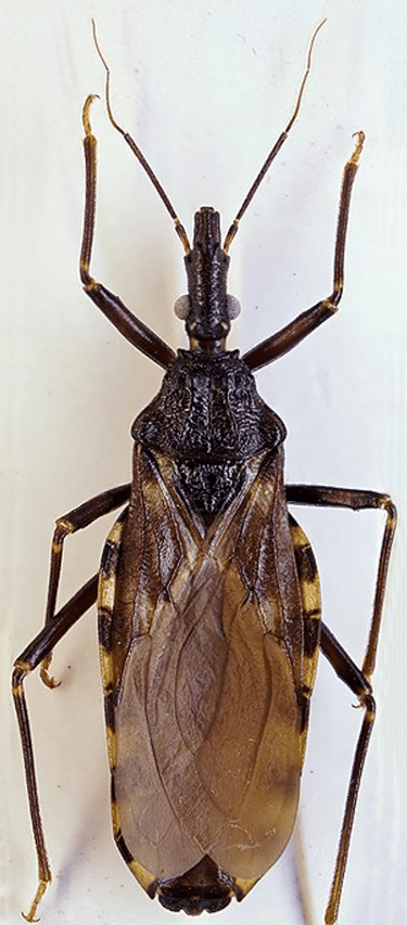
Kissing and Assassin bugs
Reduviidae, Hemiptera
Stink bugs
Pentatomidae, Hemiptera
Lice and Booklice
Pediculidae, Liposcelididae, Psocodea
Image: Gilles San Martin
Image: Matthew Field
Image: Walter L. Rohrmann
Spiders
Araneae
Scorpions
Scorpiones
Little house flies
Fanniidae, Diptera
Horn and House flies
Muscidae, Diptera




























